RED LODGE — A Billings group believes they have found the perfect spot in Carbon County for a new drug and alcohol addiction treatment center, but neighbors aren't so sure.
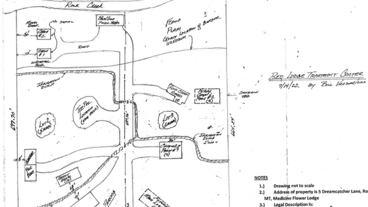
Bill and Peter Vanderloos, along with business partner Kirk Dehler, are in talks to buy the Medicine Flower Lodge along Highway 212, just north of Red Lodge, and turn it into a 90-day inpatient treatment facility, similar to one in California that both Peter and Kirk attended.
They do not have a contract to purchase the facility, as receiving the permit is one of several conditions the group has set forth.
Neighbors however have pushed back, concerned specifically with the type of people the center would bring to their area, and outdated county statutes have made the fight a mess.
"It’s a bad loophole in the system, it really is. And that’s our fault," said Carbon County Commissioner Scott Blain.
Dozens crowded into the Carbon County commissioners' office in Red Lodge Thursday to have their voices heard. Chairman Bill Bullock said it's the first time in history they’ve had an appeal for a change-of-use permit request.
"We followed the guidelines set up by Carbon County planning to get to where we are today," Bill Vanderloos said. "If there had been a requirement to put a full business plan together, we would have done that."

The investment group said they have done everything Carbon County asked up to this point, but neighbors are upset they didn’t go above and beyond.
"We didn’t even know it was happening," said Stena Bushnell, a Medicine Flower Lodge neighbor. "You had no idea that in our neighborhood they wanted to put an alcohol and drug treatment center, unless you were within 100 feet to where this facility was going to be."
Bushnell gathered around 25 signatures on a petition against the proposed center. She and her husband were two of several who voiced concerns at the meeting.
"Are you going to put security fence around the whole property?" James Bushnell asked.
"Is it going to be an open campus or a closed campus?" Herb Hunt added.
Peter Vanderloos and Dehler answered several of the questions in the room and reiterated afterward why they believe this different type of facility is necessary.
"We’ve seen 30-day inpatient treatment centers - it’s like a revolving door," Dehelr said. "The brain doesn’t start to heal until at least two months coming off drugs or alcohol."
Dehler’s mother, Cheryl Lyson, has been a mental health therapist at St. Vincent Healthcare for 27 years and voiced her support during the meeting.
"We need more treatment centers," she said. "There have been many times that I can’t get people into treatment, so I have to send them out of state.
"30-day programs aren’t the best. I try to refer to 90-100 day programs because that’s where we have the most success. I think we need another center in Montana, and we need a good one, and this one has opened my eyes."

According to the group, Montana only has three drug and alcohol addiction treatment facilities: Rimrock Foundation in Billings; the Montana Chemical Dependency Center in Butte; and the Rocky Mountain Treatment Center in Great Falls. Even both Bullock and Blain agreed the need is there.
"I'm on the South Central Montana Regional Mental Health board," Blain said. "We don’t have enough treatment facilities, and the ones we have fail miserably."
"I will not dissuade that," Bullock added. "But logistically, I don’t see how it can be attained on this property. It's escaping me."
Technically, the commissioners are not allowed to deny the change-of-use request, only make conditions for approval. Bullock's hangup centered on septic and floodplain issues that would fall under the Montana Department of Environmental Quality's purview.
After two hours, the commissioners asked if the group would be ok postponing the permit’s approval another 45 days. The investors asked for 20, and they settled on 28, with a meeting scheduled for Sept. 29 at 10:30 a.m.
"We won’t stop," Dehler said. "Both Peter and I received a gift, and one of the people I was really close to said, ‘I’m giving you this gift, and you have to give it back.' That's all we're trying to do here: show people there's another way to live."
A lot of interested parties will be watching later this month.